ACCÈS ADHÉRENT
Fnaim-66
  • Accueil
  • Qui sommes-nous ?
  • Nos actualités
  • Nos Formations
  • Conseils juridiques
  • Nos adhérents
  • Nos Partenaires
  • Notre galerie
  • Devenir Adhérent
  • Nous contacter
VotreRecherche
Dans un rayon de
Budget min
Entre € et €
Entre
et
Min. €
Max. €
Surface
Entre m2 et m2
Min. m2
Max. m2
Pièces
Entre pièces et pièces
Min. pièces
Max. pièces
  1. Accueil
  2. Bolquere
  3. Vente
  4. Terrain
  5. 773m²
< Retour

Terrain
773 m²

Bolquere - 66210

230 000 €
Descriptif du bien
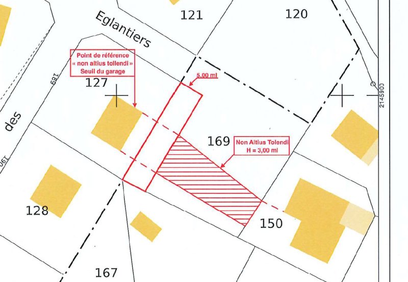
Terrain constructible de 773 m², idéalement situé au coeur de la forêt de SuperBolquère. La parcelle, plate et facilement accessible, profite d'un environnement calme, à deux pas de l'étang du Ticou. Le terrain est à viabiliser, mais les réseaux se trouvent à proximité. À noter : une servitude de hauteur concerne une partie de la parcelle (repérée sur la photo).
Détails du bien
  • Superficie (m²) 773
  • Code postal 66210

Diagnostic de
performances énergétiques

DPE
GES
Ce bien est proposé par
AGENCE PEYROT
AGENCE PEYROT
Voir les biens de l'agence
312 Route De La Forêt Residence Les Grands Horizons
66210 Bolquere
04 6 8 30 0 5 75
contact@peyrot-immo.fr
www.peyrot-immo.fr
Nos outils
Nous contacter pour ce bien

* champs obligatoire

Les informations communiquées sont destinées à "Fnaim des Pyrénées Orientales" éditrice de ce site. Vous bénéficiez d'un droit d'accès, de modification, de rectification et de suppression de vos données personnelles (Loi n°2004-575 du 21 juin 2004 pour la confiance dans l'économie numérique). Pour les exercer, adressez vous à l’adresse de l’Editeur.

Partager ce
bien

Partager ce
bien

* champs obligatoire

Les informations communiquées sont destinées à "Fnaim des Pyrénées Orientales" éditrice de ce site. Vous bénéficiez d'un droit d'accès, de modification, de rectification et de suppression de vos données personnelles (Loi n°2004-575 du 21 juin 2004 pour la confiance dans l'économie numérique). Pour les exercer, adressez vous à l’adresse de l’Editeur.

Calculatrice financière
Mensualités :

* Champs obligatoires

Ces biens
peuvent vous intéresser

  • Vente
    Terrain 9800m²
    66700 argeles sur mer
    55 000 €
  • Vente
    Terrain 2926m²
    66000 perpignan
    15 000 €
  • Vente
    Terrain 15129m²
    66000 perpignan
    360 000 €
FNAIM

Notre top ville
en Pyrénées Orientales

  • Perpignan
  • Amelie Les Bains Palalda
  • Argeles Sur Mer
  • Le Barcares
  • Argeles Plage
  • Canet En Roussillon
  • Perpignan
  • Canet Plage
  • St Cyprien Plage
  • Port Vendres
  • St Cyprien
  • Alenya
  • Collioure
  • Ceret
  • Banyuls Sur Mer
  • Cabestany
  • Les Angles
  • Rivesaltes
  • Elne
  • Le Boulou
  • St Laurent De La Salanque
  • St Esteve
  • Font Romeu Odeillo Via
  • Thuir
Voir toutes les villes

FNAIM Pyrénées Orientales © 2026 | Tous droits réservés |

  • Plan du site
  • Mentions légales
  • Partenaires
  • Admin
  • Contact
Réalisé par
Les sites de la fédération : FNAIM Loire Atlantique, FNAIM Drome Ardeche, FNAIM Aix Marseille Provence, FNAIM Alpes Maritimes, FNAIM Vaucluse, FNAIM Alpes de Haute Provence - Hautes Alpes , FNAIM Var

Comme beaucoup, notre site utilise les cookies

On aimerait vous accompagner pendant votre visite. En poursuivant, vous acceptez l'utilisation des cookies par ce site, afin de vous proposer des contenus adaptés et réaliser des statistiques !

Paramétrer

Cookies fonctionnelsCes cookies sont indispensables à la navigation sur le site, pour vous garantir un fonctionnement optimal. Ils ne peuvent donc pas être désactivés.

Statistiques de visitesPour améliorer votre expérience, on a besoin de savoir ce qui vous intéresse !
Les données récoltées sont anonymisées.

?

Google Analytics

Annonces personnaliséesOn garde le contact ? Ces cookies nous permettent de vous proposer des contenus publicitaires adaptés à vos centres d'intérêts.

?

Google Ads

?

Facebook Pixel

?

Youtube

En savoir plus

Nous utilisons des cookies pour nous permettre de mieux comprendre comment le site est utilisé. En continuant à utiliser ce site, vous acceptez notre politique de confidentialité. En savoir plus