ACCÈS ADHÉRENT
Fnaim-66
  • Accueil
  • Qui sommes-nous ?
  • Nos actualités
  • Nos Formations
  • Conseils juridiques
  • Nos adhérents
  • Nos Partenaires
  • Notre galerie
  • Devenir Adhérent
  • Nous contacter
VotreRecherche
Dans un rayon de
Budget min
Entre € et €
Entre
et
Min. €
Max. €
Surface
Entre m2 et m2
Min. m2
Max. m2
Pièces
Entre pièces et pièces
Min. pièces
Max. pièces
  1. Accueil
  2. Agde
  3. 756m²
< Retour

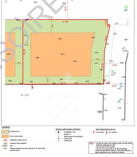
Terrain
756 m²

Agde - 34300

399 000 €
Descriptif du bien
Parcelles prêtes à recevoir un projet de construction Situé au cœur du Grau d’Agde, ce nouveau lotissement d’exception propose des parcelles spacieuses de 700 à 1 000 m², alliant intimité, élégance et confort moderne. Un Cadre de Vie Unique Conçu pour s’intégrer parfaitement à son environnement naturel, Les Flamants Roses met l’accent sur l’harmonie et l’exclusivité, offrant un cadre idéal pour construire la maison de vos rêves. Chaque parcelle est une invitation à créer une résidence sur mesure dans un quartier structuré et accueillant. Entre Sérénité et Praticité Profitez du calme d’un quartier résidentiel premium, tout en restant à proximité des services, des plages et des activités de loisirs d’Agde. Ce lotissement soigneusement pensé favorise une vie de quartier conviviale, où le charme méditerranéen se mêle au confort moderne. Réservez Votre Terrain Dès Maintenant Pour consulter les plans de vente des parcelles encore disponibles, n’hésitez pas à me contacter par e-mail ou téléphone. Votre future maison commence ici !
Détails du bien
  • Superficie (m²) 756
  • Code postal 34300

Diagnostic de
performances énergétiques

DPE
GES
Ce bien est proposé par
SAS MUST IMMOBILIER COLLIOURE
SAS MUST IMMOBILIER COLLIOURE
Voir les biens de l'agence
8 Place Général Leclerc
66190 Collioure
04 4 8 90 0 1 66
mustcollioure@coldwellbanker.fr
Nos outils
Nous contacter pour ce bien

* champs obligatoire

Les informations communiquées sont destinées à "Fnaim des Pyrénées Orientales" éditrice de ce site. Vous bénéficiez d'un droit d'accès, de modification, de rectification et de suppression de vos données personnelles (Loi n°2004-575 du 21 juin 2004 pour la confiance dans l'économie numérique). Pour les exercer, adressez vous à l’adresse de l’Editeur.

Partager ce
bien

Partager ce
bien

* champs obligatoire

Les informations communiquées sont destinées à "Fnaim des Pyrénées Orientales" éditrice de ce site. Vous bénéficiez d'un droit d'accès, de modification, de rectification et de suppression de vos données personnelles (Loi n°2004-575 du 21 juin 2004 pour la confiance dans l'économie numérique). Pour les exercer, adressez vous à l’adresse de l’Editeur.

Calculatrice financière
Mensualités :

* Champs obligatoires

Ces biens
peuvent vous intéresser

  • Vente
    Terrain 1501m²
    66000 perpignan
    147 000 €
  • Vente
    Terrain 2926m²
    66000 perpignan
    15 000 €
  • Vente
    Terrain 15129m²
    66000 perpignan
    360 000 €
FNAIM

Notre top ville
en Pyrénées Orientales

  • Perpignan
  • Amelie Les Bains Palalda
  • Argeles Sur Mer
  • Le Barcares
  • Argeles Plage
  • Canet En Roussillon
  • Perpignan
  • Canet Plage
  • St Cyprien Plage
  • Port Vendres
  • St Cyprien
  • Alenya
  • Collioure
  • Ceret
  • Banyuls Sur Mer
  • Cabestany
  • Les Angles
  • Rivesaltes
  • Elne
  • Le Boulou
  • St Laurent De La Salanque
  • St Esteve
  • Font Romeu Odeillo Via
  • Thuir
Voir toutes les villes

FNAIM Pyrénées Orientales © 2026 | Tous droits réservés |

  • Plan du site
  • Mentions légales
  • Partenaires
  • Admin
  • Contact
Réalisé par
Les sites de la fédération : FNAIM Loire Atlantique, FNAIM Drome Ardeche, FNAIM Aix Marseille Provence, FNAIM Alpes Maritimes, FNAIM Vaucluse, FNAIM Alpes de Haute Provence - Hautes Alpes , FNAIM Var

Comme beaucoup, notre site utilise les cookies

On aimerait vous accompagner pendant votre visite. En poursuivant, vous acceptez l'utilisation des cookies par ce site, afin de vous proposer des contenus adaptés et réaliser des statistiques !

Paramétrer

Cookies fonctionnelsCes cookies sont indispensables à la navigation sur le site, pour vous garantir un fonctionnement optimal. Ils ne peuvent donc pas être désactivés.

Statistiques de visitesPour améliorer votre expérience, on a besoin de savoir ce qui vous intéresse !
Les données récoltées sont anonymisées.

?

Google Analytics

Annonces personnaliséesOn garde le contact ? Ces cookies nous permettent de vous proposer des contenus publicitaires adaptés à vos centres d'intérêts.

?

Google Ads

?

Facebook Pixel

?

Youtube

En savoir plus

Nous utilisons des cookies pour nous permettre de mieux comprendre comment le site est utilisé. En continuant à utiliser ce site, vous acceptez notre politique de confidentialité. En savoir plus